
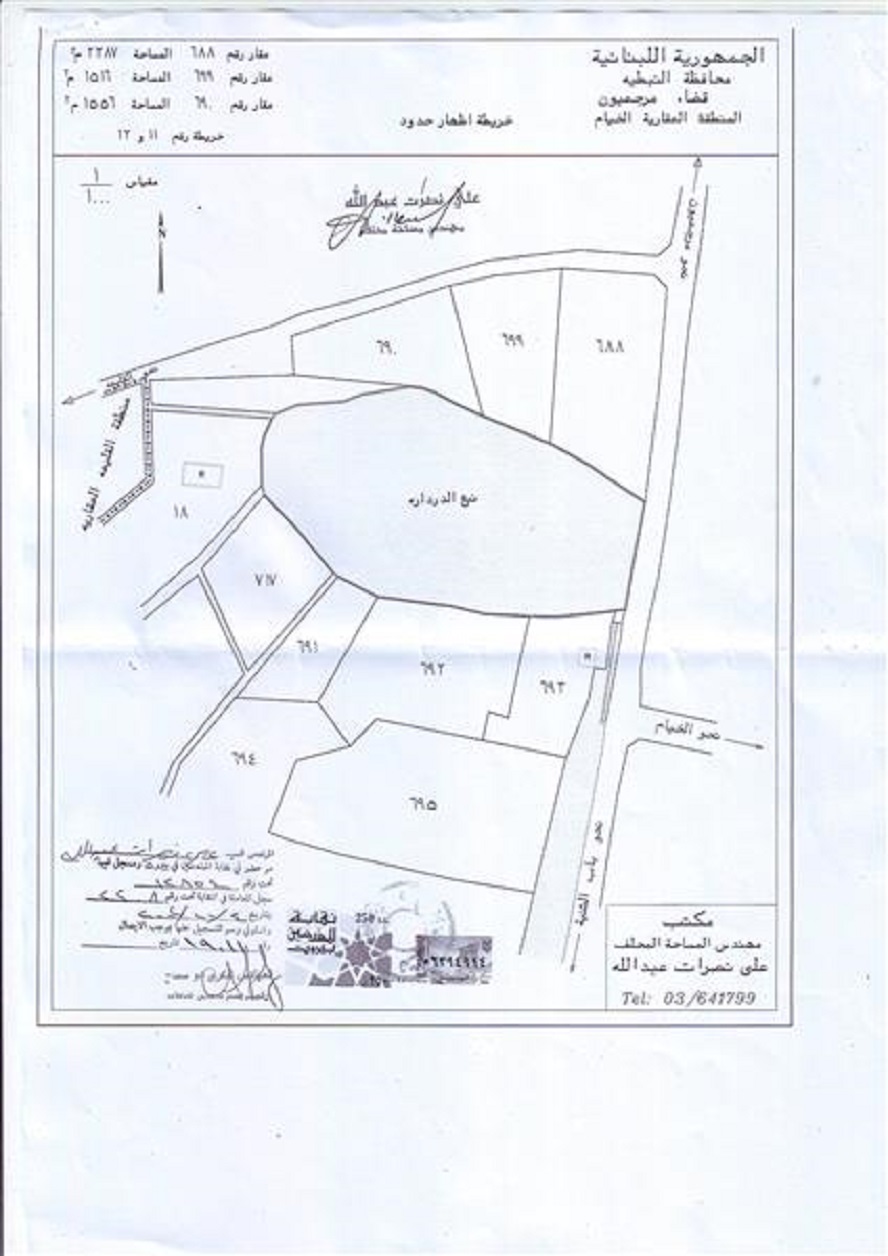
رئيس بلدية الخيام الحالي المهندس عدنان عليان.. متى يخرج عن صمته لينفذ قرار المجلس البلدي السابق في استملاك 20 متر حول محيط الدردارة؟
تحت عنوان «دردارة الخيام.. يتألق جمالها»، نشرت بلدية الخيام على صفحاتها ومجموعاتها الإعلامية مقالة تحدثت فيها بطريقة غزلية شيّقة عن "دردارة سهل الخير والعطاء والاخضرار والجمال".. "تغري عدسات المصورين المحترفين وعيون جمال ومخيلات الفنانين والرسامين المبدعين".. "يستريح الخياميون، وكل زوارها، في حضن بهائها في أجمل وأمتع جلسات الودّ والسمر والسهر" الخ...
إلى غير ذلك من الكلام الذي يأخذ القارئ إلى واقع من الأحلام والثرثرة البعيدة عن الواقع الذي يطمس "ضعف إرادة" بلدية الخيام والقيام بواجباتها تجاه حفظ الأملاك العامة وفقاً لما تمليه الأنظمة والقوانين..
الحقيقة المرّة أن الدردارة، التي تغنى بها الشاعر حسن عبدالله كعنوان لأبرز قصائده، لم تعد للخياميين أو منتزهاً للعموم بسبب المنتزهات التي تزنرها.
في 19 آذار 2016، أي في أواخر عهد البلدية السابقة (التي كان يرأسها المهندس عباس عواضة)، إتخذ المجلس البلدي قراراً (م ب 46 / 2016) باستملاك 20 متر حول محيط الدردارة، لكن البلدية الحالية، التي لم يبق من عمرها أكثر مما مضى، "نيّمت" القرار في الجارور راضخة لإملاءات النافذين والمصالح الخاصة، ضاربة عرض الحائط بالمصلحة العامة.
لا تخجل بلدية الخيام من الإسترسال بالتغني بالدردارة عبر صفحاتها (لأن اللي استحوا ماتوا)، في الوقت الذي تساهم فيه بحرمان المواطنين، بالأخص الفقراء، في هذا الزمن الإقتصادي الصعب، من التمتع بها مجاناً دون المرور عبر المنتزهات التي تأسرها..
لتلك البلدية نقول اذا كانت مقالاتكم (الغنّاءة بالدردارة) من فضّة فسكوتكم من ذهب!
المقالة التي نشرتها بلدية الخيام عن الدردارة عبر صفحاتها (مع تقديرنا واحترامنا للكاتبة):
مواضيع ذات صلة:
المهندس أسعد رشيدي: بلدية الخيام.. اذا كان الكلام من فضّة فالسكوت من ذهب
المهندس عدنان ابراهيم سمور: إشراقات صباحات الخيام
المحامي خليل ادريس: الدردارة.. في بحث عدنان سمور عن الحقيقة

الدردارة، التي تغنى بها الشاعر حسن عبدالله كعنوان لأبرز قصائده، لم تعد للخياميين أو منتزهاً للعموم بسبب المنتزهات التي تزنرها

قرار الإستملاك، النائم في درج مكتب رئيس البلدية، متى يسلك طريقه نحو التنفيذ؟




الخيام | khiyam.com
تعليقات: